حين يمرض صديقك الأليف في ساعة متأخرة من الليل، أو تفاجئك أزمة صحية غير متوقعة لحيوانك الصغير.
يصبح وجود مستشفى بيطري 24 ساعة في الشيخ زايد نعمة حقيقية تبعث في النفس طمأنينة وراحة.
فصحة هذه الكائنات البريئة ليست مجرد تفاصيل يومية، بل هي مسؤولية وحب يملأ البيت بالدفء.
وهنا يبرز اسم مستشفى دكتور باوز كخيارك الأمثل؛ فهو الأقرب إليك والأقدر على استقبالك في أي وقت، ليمنح حيوانك العناية الفائقة التي يستحقها، وليمنحك أنت راحة البال التي تبحث عنها.
راحة بالك تبدأ عندما تعرف أن هناك مستشفى بيطري 24 ساعة يعمل بجوارك، لا تنتظر الطوارئ كي تكتشف أين هو.
قد يساعدك هذا المقال اذا كنت تبحث عن مستشفيات بيطرية في الشيخ زايد: كيف تختار مستشفي بيطري في الشيخ زايد؟ علاج شامل بأفضل تكلفة
مستشفى بيطري الشيخ زايد المجاورة 4
بصفتي طبيب بيطري أتعامل يوميا مع أصحاب الحيوانات الأليفة، أدرك جيداً أن عامل المكان القريب قد يصنع فارق كبير وقت الحاجة.
موقعنا في المجاورة 4 بالشيخ زايد ليس مجرد نقطة على الخريطة، بل هو قلب نابض يخدم كل الأسر المحيطة ويمنحهم شعور بالأمان أن الرعاية الطبية لحيواناتهم تبعد عنهم دقائق معدودة فقط.
ما يميز وجودنا هنا أن المستشفى يسهل الوصول إليه بلا تعقيد، سواء بالسيارة أو حتى سيراً على الأقدام من داخل المجاورة نفسها.
هذا القرب يجعلنا جزءا من حياة الناس اليومية فنحن لسنا مكان بعيد يرهقكم بالانتظار أو المشاوير الطويلة، بل نحن على بُعد خطوات كلما احتجتم إلينا.
آراء العملاء تثبت التميز
السمعة الطيبة لا تُبنى بالكلام، بل بتجارب حقيقية عاشها مربو الحيوانات الأليفة معنا. كثير منهم شاركونا قصصهم بعد زيارة دكتور باوز، وأبرز ما اتفقوا عليه هو:

أهمية وجود مستشفى بيطري 24 ساعة الشيخ زايد
كطبيب بيطري أعلم جيدا أن المرض أو الطوارئ لا تعرف وقتا محددا فقد تأتي أزمة صحية لحيوانك الأليف في منتصف الليل. أو قد تحتاج قطة لولادة عاجلة في ساعة متأخرة، أو حتى يتعرض كلب لحالة تسمم مفاجئة.
لهذا فإن وجود مستشفى بيطري 24 ساعة الشيخ زايد ليس رفاهية، بل ضرورة حقيقية تمنحك أنت ورفيقك الصغير طوق نجاة وقت الحاجة.
ولأن راحة البال تعني أن تجد من يستقبلك في أي لحظة، فإن مستشفى دكتور باوز يقدم لك ميزة إضافية: فهو لا يعمل على مدار اليوم فقط.
بل يعد أقرب مستشفى بيطري الشيخ زايد في قلب المنطقة بحيث تصل إليه سريعا من أي مكان دون عناء.
وسرعة الوصول هنا قد تصنع الفارق بين القلق والاطمئنان، وبين الخطر والنجاة.
ولمزيد من الوضوح، إليك أهم ما يميز دكتور باوز:
| الميزة | الفائدة لصاحب الحيوان الأليف |
|---|---|
| مستشفى بيطري 24 ساعة الشيخ زايد | جاهزية للطوارئ في أي وقت (ليل/نهار) |
| أقرب مستشفى بيطري الشيخ زايد | سرعة الوصول وقت الأزمات = إنقاذ أسرع |
| موقع مركزي في قلب الشيخ زايد | سهولة الوصول من كل الأحياء والمجاورات |
| رعاية متكاملة | من الكشف الروتيني حتى العمليات والطوارئ |
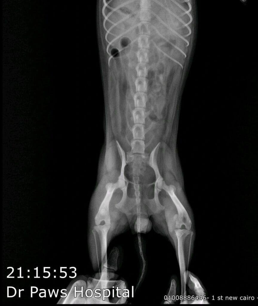
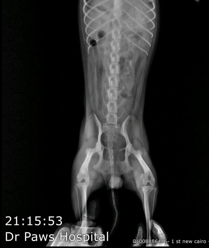
خلع الركبة لم يمنعها من العودة للمرح: قصة شفاء تمتم
من خلال منشوراتنا عبر لينكدإن، نشارككم قصة جديدة من داخل المستشفى، تؤكد أهمية التدخل الجراحي السريع ودور الرعاية المستمرة على مدار الساعة.
تمتم، أنثى بودل بيضاء عمرها سنة واحدة، وصلت إلى المستشفى وهي تعاني من عرج متكرر في رجلها الخلفية.
المالك كان قلقًا للغاية لأن حالتها تزداد سوءًا مع الوقت. وبعد الفحص، تبين أن السبب هو خلع في مفصل الركبة، وهي حالة شائعة عند الكلاب الصغيرة لكنها مؤلمة جدًا وتؤثر على حركتها.

خطة العلاج
قرر الفريق الطبي أن أفضل حل هو التدخل الجراحي لإعادة المفصل إلى مكانه الصحيح وتثبيته. كانت العملية دقيقة، لكنها نُفذت بنجاح بفضل مهارة وخبرة الجراحين.
بعد العملية
بدأت تمتم مرحلة التعافي داخل المستشفى، حيث خضعت لمتابعة دقيقة ورعاية على مدار 24 ساعة، مع برنامج مخصص للتأهيل ودعم الحركة. تدريجيًا، عادت إلى المشي بثقة أكبر، واختفى الألم الذي كان يرافقها.
كلمة شكر
قصص مثل قصة تمتم تذكرنا دائمًا أن وجود مستشفى بيطري يعمل 24 ساعة قد يُحدث الفارق بين استمرار الألم أو استعادة حياة طبيعية مليئة بالحركة والسعادة.
خالص الشكر لجراحي العظام: Dr. Ahmed Tarek Barakat و Dr. Reem Salem على إخلاصهم ومهارتهم في إنجاح هذه العملية الدقيقة، وإعادة الأمل إلى تمتم وأسرتها.
في النهاية يبقى مستشفى دكتور باوز هو الخيار الأمثل لكل صاحب حيوان أليف يبحث عن الرعاية البيطرية المتكاملة في الشيخ زايد.
فهو الأقرب موقعاً، والأكثر استعدادا بخدمة بيطرية 24 ساعة تضع راحة بالك وصحة حيوانك في المقام الأول.
لا تدع القلق يسيطر عليك وقت الأزمات، ولا تنتظر حتى تشتد الحالة.
❤️ خلي صديقك الأليف دايماً في أمان معانا.
📞 اتصل الآن أو تفضل بزيارتنا، فدكتور باوز دائماً في خدمتك أنت وصديقك الأليف.
للحصول على أفضل رعاية صحية لحيوانك الأليف.. لا تتردد في زيارة دكتور باوز أو التواصل معنا مباشرة.
لحجز موعد أو الاستفسار، يمكنك الاتصال بأرقامنا التالية:
اتصل على:
01030795778 – 01008886446
كما يمكنكم زيارة فروعنا في الأماكن التالية
عنوان فرع الشيخ زايد:
Hayat Clinics, Cairo Governorate EG، أول الشيخ زايد، محافظة الجيزة
عنوان فرع التجمع الأول
مكتبة اقرأ، منطقة خدمات البنفسج ٩ – مول الفاروق أمام، محافظة القاهرة
الاسئلة الشائعة
جمعنا في هذا الدليل كل ما يدور في ذهنكم من أسئلة، وأرفقنا الإجابات بشكل واضح ومبسط.
في الشيخ زايد تنتشر عدة عيادات ومستشفيات بيطرية، لكن مستشفى دكتور باوز يتميز بموقعه المركزي الذي يسهل الوصول إليه من مختلف الأحياء، إضافة إلى كونه يعمل على مدار 24 ساعة لتلبية جميع احتياجات الحيوانات الأليفة في أي وقت.
مستشفى دكتور باوز يقع في المجاورة 4، مما يجعله في قلب الشيخ زايد ويخدم سكان المنطقة بشكل مباشر، حيث يمكن الوصول إليه بسهولة سيراً على الأقدام أو بالسيارة خلال دقائق معدودة.
نعم، إذا كنت تتسوق أو تنجز مشاويرك بالقرب من المعز مول، ستجد أن مستشفى دكتور باوز بجواره مباشرة، مما يوفر لك الوقت والجهد إذا احتجت رعاية سريعة لحيوانك الأليف.
بالطبع، مستشفى دكتور باوز يعمل على مدار اليوم، طوال أيام الأسبوع، ليستقبل الحالات الطارئة مثل الولادة، التسمم، أو أي أزمة صحية طارئة قد يتعرض لها الحيوان الأليف في أوقات غير متوقعة.
إذا كنت تبحث عن أقرب مستشفى بيطري الشيخ زايد، فإن موقع مستشفى دكتور باوز في قلب المدينة يجعله الخيار الأسرع والأسهل للوصول وقت الأزمات، مما يمنح حيوانك الأليف فرصة إنقاذ أسرع ورعاية فورية.